ウサギ 2026年2月22日 ウサギの肘関節脱臼 この子は前足を脱臼してしまい、かかりつけ医では処置できないとのことで当院に来院されました。 右前肢が動かなくなっており、レントゲン検査を行うと、 このように右前肢の肘関節が脱臼しています。 治療にはいくつか方法があります […]
ウサギ 2026年1月15日 ウサギの鼠経ヘルニア この子は玉が腫れているとのことで来院しました。 このように腫れていますが、精巣が腫れているわけではなく、陰嚢にお腹の臓器がでているヘルニアになっています。 通常精巣は押してもお腹の中に戻ることはありませんが、ウサギさんな […]
ウサギ 2025年12月12日 ウサギの頸部の腺癌 この子は11歳のウサギですが、別の症状で来院しており、、触診で首にしこりが触れたため、進行も早かったため、手術で切除することにしました。 高齢のため、麻酔も注意が必要です。 このように毛を剃ると大きな腫瘍だということがわ […]
ウサギ 2025年12月1日 ウサギの瞬膜過形成(外科的治療) 以前から何回かご紹介しているものになりますが、ウサギの瞬膜腺が異常に腫れてしまう病気があります。 この子も2歳くらいですが、左の瞬膜腺が異常に腫れてしまい、涙などで目回りも荒れてしまっていました。 他院では原因がわからず […]
ウサギ 2025年10月27日 ウサギの消化管憩室 ウサギのお腹の中にしこりがあるというのは時々見られますが、今回はそこまで多くない珍しいケースをご紹介します。 この子は3歳の女の子ですが、他院でお腹の中にしこりがあるということを指摘され当院に紹介来院されました。 触診で […]
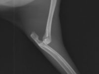
ウサギ 2025年7月7日 ウサギの骨折 今回はウサギの骨折についてご紹介します。 ウサギは野生で捕食者からにげるため、発達した筋肉を持ち、骨を軽くして身軽にしています。これは、犬や猫に比べて骨が折れやすいということです。 また、骨皮質も薄く、手術中に無理な力を […]
ウサギ 2025年7月4日 ウサギの根尖膿瘍(膿瘍造窓術) 今回はウサギの根尖膿瘍についてご紹介します。 ウサギは歯に関連するトラブルが多くみられます。多いのは歯のかみ合わせが悪くなってしまう不正咬合ですが、不正咬合に伴い歯根に膿がたまってしまうことがあります。 膿がたまっている […]
ウサギ 2025年6月13日 ウサギの耳血腫 今回はウサギの耳血腫についてご紹介します。 耳血腫というのは外に見えている外耳の中に血液がたまってしまう病気です。ウサギさんでは時々みられます。 原因としては、耳を繰り返し掻いてしまうことによる外傷性、免疫介在性によるも […]
ウサギ 2025年5月29日 ウサギの急性胃拡張 今回はウサギの急性胃拡張についてご紹介します。 症状は急にご飯を食べなくなり、便が全く出なくなります。元気も急になくなります。 原因の多くは自分の毛をグルーミングの際に飲み込んでしまい、腸の中でつまってしまう、もしくはつ […]
ウサギ 2025年3月18日 ウサギの子宮腺癌と乳腺癌 今回は別のウサギのご紹介です。 ウサギは子宮に腫瘍ができやすいのと乳腺にも腫瘍ができやすいです。 今回の子は高齢で体表に腫瘍ができ、別の病院にいかれましたが、セカンドオピニオンとして当院を来院されました。 体表には自分で […]